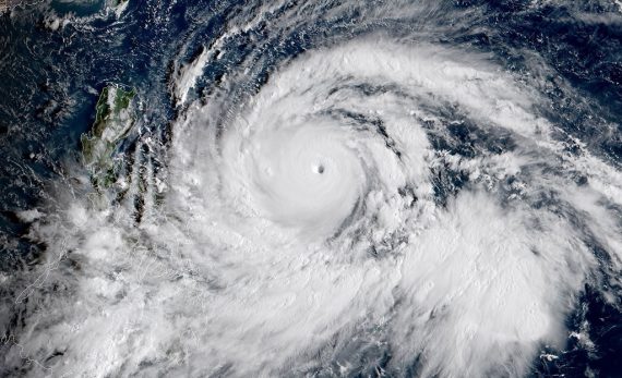
"Mangkhut" wütet auf den Philippinen und in China
Taifun "Mangkhut" hat am Wochenende auf seinem Weg durch Südostasien seine Zerstörungskraft voll entfaltet. Besonders hart traf der bisher stärkste Wirbelsturm des Jahres die Philippinen, wo bis zu hundert Tote befürchtet werden.